Forumi
Home Pravila i pomoć Članovi Kalendar Današnji postovi


Povratak   PC Ekspert Forum > Internet i mrežne tehnologije > ISP > HT
Ime
Lozinka

Odgovori
 
Uređivanje
Staro 22.07.2015., 16:54   #5461
athmo
Guest
 
Postovi: n/a
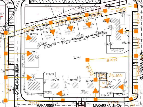
Zna li možda netko detaljnije što bi mogle značiti sljedeće oznake sa Telekomunikacijskog sustava Splita (attachment)

Legenda:
  1. Trokuti koji ulaze u zgradu (preko zgrada) su "postojeći TK ormari".
  2. Kocke koje su na ulici (to su zapravo one šahte na kojima piše TELEFON): "Postojeći TK zdenac"
  3. Žuta linija koja spaja ove gore ^ međusobno: "Postojeći TK podzemni vod"
Pitanja:
  1. Je li se pod ovim misli na bilo koje ormare, B.Net i slično? Ovo zasigurno ne mogu biti parice?!
  2. Koja je uloga ovih šahti (inače me to zanimalo).
  3. Kakav vod ovo može biti? Optika? Bakar? Vjerojatno bilo što.
Samo jedna od ovih zgrada (baš ulaz, portun, iako su sve građene da su spojene međusobno u kvadrat) na slici ima "Optičke usluge su vam dostupne" na stranici Telekoma, nebitno koja. Nije na nikakvoj posebnoj lokaciji niti ima išta posebno (osim valjda optike jel lol sudeći po T-Comu).
Ovi žuti brojevi su "broj cijevi". Ožujak 2009.
Attached Thumbnails
Click image for larger version

Name:	parica.png‎
Views:	318
Size:	162.6 kB
ID:	15127  
  Reply With Quote
Staro 22.07.2015., 17:07   #5462
Arendelle
Banned
Moj komp
 
Datum registracije: Jul 2015
Lokacija: Zagreb
Postovi: 113
@dada-as

Ma ne forsiraju nigdje osim u osnovnoškolskim knjigama.
Arendelle je offline   Reply With Quote
Staro 22.07.2015., 17:42   #5463
Ag008
RESPECT MY AUTHORITAH
Moj komp
 
Ag008's Avatar
 
Datum registracije: Jul 2008
Lokacija: Rijeka
Postovi: 7,489
Citiraj:
Autor athmo Pregled postova
Zna li možda netko detaljnije što bi mogle značiti sljedeće oznake sa Telekomunikacijskog sustava Splita (attachment)

Legenda:
  1. Trokuti koji ulaze u zgradu (preko zgrada) su "postojeći TK ormari".
  2. Kocke koje su na ulici (to su zapravo one šahte na kojima piše TELEFON): "Postojeći TK zdenac"
  3. Žuta linija koja spaja ove gore ^ međusobno: "Postojeći TK podzemni vod"
Pitanja:
  1. Je li se pod ovim misli na bilo koje ormare, B.Net i slično? Ovo zasigurno ne mogu biti parice?!
  2. Koja je uloga ovih šahti (inače me to zanimalo).
  3. Kakav vod ovo može biti? Optika? Bakar? Vjerojatno bilo što.
Samo jedna od ovih zgrada (baš ulaz, portun, iako su sve građene da su spojene međusobno u kvadrat) na slici ima "Optičke usluge su vam dostupne" na stranici Telekoma, nebitno koja. Nije na nikakvoj posebnoj lokaciji niti ima išta posebno (osim valjda optike jel lol sudeći po T-Comu).
Ovi žuti brojevi su "broj cijevi". Ožujak 2009.
Telekomunikacijska mreža na stranicama grada se većinom radila samo od HT-ovih podataka a često dobivena direktno od HT-a, mape gradova nemaju mrežu bneta. Ormar se većinom misli na izvod gdje imaš dolazni kabel i spojen na njega krajnji kabel/paricu korisnika. Tu se ujedno i bira odnosno prebacuje npr s parice 16 na 21 ako je koja bolja.
Uloga šahti je da se kroz njih po potrebi mogu mijenjati podzemni kabeli, ispod njih je kabelska kanalizacija (cijevi kroz koje prolaze kabeli) a u nekim šahtama su i spojnice (mjesto spajanja kabela). Nekada kroz šahtu pa u spojnicu zna ući voda pa dobiješ npr da susjedna zgrada ima 16db atenuaciju a moja 22db. Upravo radi oštećenja kabela ispod šahte.
Kabel može biti bilo kakav, većinom bakreni.
Osim šahti gdje postoji kabelska kanalizacija negdje se u prošlosti kabel samo ukopavao u zemlju (kao kod naše zgrade) i tada na podu imaš PTT oznake;

Ako samo jedna zgrada ima optičku dostupnost vjerojatno je tamo bilo jednostavno za provući/postaviti ili je bilo više zainteresiranih stanara odnosno dobar predsjednik zgrade.
__________________
.
Ag008 je offline   Reply With Quote
Staro 22.07.2015., 19:27   #5464
test00
Registered User
 
Datum registracije: Aug 2008
Lokacija: Vukovar
Postovi: 35
Citiraj:
Autor Ag008 Pregled postova
Možda još malo nadograđuju dslame/kartice ove godine no zadnji veći val je bio u lipnju. Možda dobiješ sljedeće godine a sigurno do 2020.
S time da je uvijek prioritet veće centrale i mjesta pa ne znam koliko je tvoje mjesto u Vukovaru na listi prioriteta. Čak i u Rijeci neke centrale nemaju vdsl dostupnost.
Btw stavi parametre parice, baš da vidimo koliko bi išlo.


udaljenost je dobra ali sn margin je nizak, kao i veliki output power, to samo neka spojeve na parici srede bit će bolje jer kad vidim onu kutijicu njihovu kako su spojili sve mi je jasno zašto je to tako, osim ako nije u samom kabelu pod zemljom problem ali mislim da nije.
Ništa izgleda da ću morat čekati, samo pitanje do kada.
test00 je offline   Reply With Quote
Staro 22.07.2015., 20:28   #5465
Mikeyy
Premium
 
Datum registracije: May 2006
Lokacija: HR
Postovi: 2,078
Ima li tu tko od HT-ljudova da provjeri da li na centrali ima VDSL? Postoji li uopće način za provjeriti dostupnost ukoliko nisi HT korisnik?
Meni su isto prodali tu priču da moram preći na njih kako bi oni provjerili da li imam dostupnost, na što je dobili "How yes no. Hvala i doviđenja."
Čudno mi je da to ne koriste kao priliku za prelazak ljudi s drugih operatera.

Nije mi parica i udaljenost upitna pošto sam bio na njima prije 4 godine i sve je savršeno radilo, a centrala mi je 200m niz cestu. Niti na sadašnjem operateru nemam problema, ali vuče me taj bajni upload od 6-10Mbit.
Mikeyy je offline   Reply With Quote
Staro 22.07.2015., 20:53   #5466
Ag008
RESPECT MY AUTHORITAH
Moj komp
 
Ag008's Avatar
 
Datum registracije: Jul 2008
Lokacija: Rijeka
Postovi: 7,489
@test, nije loše. Ne snalazim se baš s tim thompsonom, pušteno ti je 16/1? Rađe spoji SX763 da dobiješ pouzdanije podatke. Max bi ti trebao biti veći ali atenuacija ti je jako mala što je dobro.
Najbolje da saznate ime centrale na koju ste spojeni i na fejsu HT-a pitate "Dobar dan, možete li mi reći ima li centrala xxx dostupnost. " Za par sati ćeš dobiti poruku u inbox "Pozdrav IME, centrala XXX ima/nema vdsl dostupnost no najbolje da nam date vaš broj u inbox za detaljnu provjeru. SlafkoB" Ili na chatu pitaj za nekog susjeda na maxadslu može li vdsl.
__________________
.
Ag008 je offline   Reply With Quote
Staro 22.07.2015., 22:25   #5467
QS
Premium
Moj komp
 
QS's Avatar
 
Datum registracije: Mar 2009
Lokacija: Split
Postovi: 284
Pušten mu je profil za 10 mbit net + iptv + voip na adsl2+ i radi savrseno - atenuacija je mokri san svakog montera - margine su odlicne s obzirom da izlazna snaga na dslamu/modemu nije odvrnuta do daske (smanjuje se crosstalk tako)

Ici ce tu vdsl ko podmazan, samo da se vdsl pločica pojavi u centrali
__________________
QS je offline   Reply With Quote
Staro 22.07.2015., 22:37   #5468
.Delboy
Premium
 
.Delboy's Avatar
 
Datum registracije: May 2008
Lokacija: hr
Postovi: 755
Citiraj:
Autor Mikeyy Pregled postova
Postoji li uopće način za provjeriti dostupnost ukoliko nisi HT korisnik?
Sada su dodali u sustav provjeru po adresi, pa odmah izbaci sve dostupne tehnologije, nazovi ih i pitaj.
.Delboy je offline   Reply With Quote
Staro 22.07.2015., 22:44   #5469
Ag008
RESPECT MY AUTHORITAH
Moj komp
 
Ag008's Avatar
 
Datum registracije: Jul 2008
Lokacija: Rijeka
Postovi: 7,489
Opet širiš dezinformacije delboy;

@qs, atenuacija je dobra ali margina nije baš. Da na tom profilu ima marginu od 16db već bi bilo nešto. A power mu je standardan, ništa niži nego što bi trebao biti.
__________________
.
Ag008 je offline   Reply With Quote
Staro 22.07.2015., 22:53   #5470
Arendelle
Banned
Moj komp
 
Datum registracije: Jul 2015
Lokacija: Zagreb
Postovi: 113
Ekipo, zašto je meni power tako nizak?

Arendelle je offline   Reply With Quote
Staro 22.07.2015., 22:55   #5471
Ag008
RESPECT MY AUTHORITAH
Moj komp
 
Ag008's Avatar
 
Datum registracije: Jul 2008
Lokacija: Rijeka
Postovi: 7,489
Tvoj router (ne znam napamet koji) ne prikazuje dobro izlaznu snagu na dslamu, poznata stvar. Tako i neki sx763 prikazuje na uploadu. Sve u svemu dobra parica, udaljenost oko 600m, ako je vdsl na dslamu dostupan mogla bi 50/10mbps 99% uzeti.
__________________
.
Ag008 je offline   Reply With Quote
Staro 22.07.2015., 22:58   #5472
Arendelle
Banned
Moj komp
 
Datum registracije: Jul 2015
Lokacija: Zagreb
Postovi: 113
Ma da? I TG 782i pokazuje slične podatke (slika je stara mjesec-dva, ali valjda to ne igra nikakvu ulogu), zato mi i jest čudno.
Arendelle je offline   Reply With Quote
Staro 23.07.2015., 11:00   #5473
QS
Premium
Moj komp
 
QS's Avatar
 
Datum registracije: Mar 2009
Lokacija: Split
Postovi: 284
Ne širi čovjek dezinformacije nego neki genijalci u call centru neznaju ni koristit alate koje imaju već samo bulje u prozorčić koji im sugerira nešto (a koji naravno nije ažuran u većini slučajeva)... Dostupnost VDSLa se može provjeriti (direktno) preko 2 aplikacije, tehnika vam može provjerit po još jednoj, a najbolje je upitat montera jel vidio novu vdsl pločicu na dslamu i ima li mjesta na njoj - s time da ako je pločica prazna najčešće znači da je "jučer" stavljena i da je još isprobavaju pa će bit 2-3 testna priključka na njoj i to je to...

Ag008 - dobro govoriš za izlaznu snagu, a i za mudrovanje nekih modema (posebno Thomsona i omiljenog nam ZTEa) koji te gledaju u oči i LAŽU

P.S. Vidi u mene izlazne snage

Status: Cable connected
Line mode: ADSL2+
Maximum line rate: 14332 kbps (downstream) / 1228 kbps (upstream)
Noise margin: 13.6 dB (downstream) / 13 dB (upstream)
Line attenuation: 36 dB (downstream) / 23.6 dB (upstream)
Output power: 21.1 dBm (downstream) / 13.8 dBm (upstream)

Znam sigurno da je postavljen fault repair profil za 4mbit+iptv+voip (sync na 9 mbit). Na default profilu su mi bile margine između 6 i 8 deBelih - naravno SX je u pitanju
__________________
QS je offline   Reply With Quote
Staro 23.07.2015., 11:05   #5474
jopis
gadget freak
Moj komp
 
jopis's Avatar
 
Datum registracije: Oct 2009
Lokacija: Jasenovac
Postovi: 2,224
Citiraj:
Autor Mikeyy Pregled postova
Ima li tu tko od HT-ljudova da provjeri da li na centrali ima VDSL? Postoji li uopće način za provjeriti dostupnost ukoliko nisi HT korisnik?
Meni su isto prodali tu priču da moram preći na njih kako bi oni provjerili da li imam dostupnost, na što je dobili "How yes no. Hvala i doviđenja."
Čudno mi je da to ne koriste kao priliku za prelazak ljudi s drugih operatera.
Naravno. Ako nisi ht korisnik i ako te tlače da ne mogu obavit provjeru u tom slučaju, samo reci broj od bilo kojeg susjeda koji je na ht-u. Ja nisam čak ni to morao, meni je sam operater odmah rekao da, naravno da imate vdsl dostupan, vaš susjed na kućnom broju ispred vas ima dostupan, susjeda iza vas također, tako da je to to
__________________
"If everything seems under control, you're just not going fast enough." - Mario Andretti
jopis je offline   Reply With Quote
Staro 23.07.2015., 11:15   #5475
Ag008
RESPECT MY AUTHORITAH
Moj komp
 
Ag008's Avatar
 
Datum registracije: Jul 2008
Lokacija: Rijeka
Postovi: 7,489
Samo je aplikacija u banani.
Sudeći po stanju, parice u našoj zgradi su tako loše da valjda ne nude internet ili je aplikacija u banani.

Ja mislio da me čovjek zeza, ali eto, internet nije dostupan ni na adresi "Rastočine 7" (gdje imaju i optiku) ni na "Petra Kobeka 15".
__________________
.
Ag008 je offline   Reply With Quote
Staro 23.07.2015., 11:57   #5476
QS
Premium
Moj komp
 
QS's Avatar
 
Datum registracije: Mar 2009
Lokacija: Split
Postovi: 284
Neće ti namjerno davat krive informacije s obzirom da na novu uslugu ide bonus AFAIK. Posebno ako je od nule bez prethodnog postojanja priključka. Jednostavno ne znaju (ili ne mogu) provjeriti.

Njemu bi se bonus pisao neovisno o tome jeste li vi tražili ili on nudio

Citiraj:
Autor jopis Pregled postova
Naravno. Ako nisi ht korisnik i ako te tlače da ne mogu obavit provjeru u tom slučaju, samo reci broj od bilo kojeg susjeda koji je na ht-u. Ja nisam čak ni to morao, meni je sam operater odmah rekao da, naravno da imate vdsl dostupan, vaš susjed na kućnom broju ispred vas ima dostupan, susjeda iza vas također, tako da je to to
Naletio si na sposobnog agenta
__________________
QS je offline   Reply With Quote
Staro 23.07.2015., 13:17   #5477
dada-as
Bot Maker
Moj komp
 
dada-as's Avatar
 
Datum registracije: Dec 2005
Lokacija: medjimurje, mala subotica
Postovi: 2,741
Da ja mogu isto potvrditi da na koga naletis takvu informaciju dobijes. Iskreno dok sam zvao ovog lika u Iskon, on je vrlo vjerojatno provjerio dali mogu dobiti vecu brzinu tako da je otisao na iskon.hr i ukucao moj broj i adresu. Mislim svasta. Pa to sam i ja sam provjerio i vidio da neide. A kako je poceo T-Com uvoditi taj internet predpostavio sam da u nasoj Lijepoj ima konkurencije, pa ce pocet i drugi operateri.

Jer neznam tko ce ostat na onom adslu gdje veca brzina kosta 24 kune, a ovdje 3 puta veca 10 kuna.

Te isto tak potvrdjujem da sam dobio od agenta razlicite informacije, prvi dan su mi rekli da nemogu dobiti nikakav poklon i nemogu produziti ugovor i da mi MAX-TV je van ugovora (iako mi se nalazi u paketnoj tarifi) i svasta neke nebuloze.

Da bi kod drugog agenta dobio ugovor i poklona za izvoz, i telefon i disk i svasta nesto. Jos sad nek mi daju 30mbita i bit ce sve u redu.

Tak da ako jedan agent nemoze rijesiti mozda bi te spojili ako pitas dali imaju agenta na visoj razini, jer po njihovim razgovorima skuzis tko je sposoban tko nije.

Ovaj kojeg sam zvao u Iskon majko mila. Doslovno je ukucao u web podatke i vidio da nemoze, a radi se o 6k Kuna godisnje. Takvih 10 i evo ti novi auto... Nije cudo da kakskaju za T-Comom.
__________________
dada-as je offline   Reply With Quote
Staro 23.07.2015., 13:57   #5478
LeskiRM
Premium
Moj komp
 
LeskiRM's Avatar
 
Datum registracije: Feb 2015
Lokacija: Sveta Nedelja
Postovi: 706
Pozivi tcom szk su lutrija. Zasad sam najvise informacija dobio preko chata.

Takoder imam i pohvalu za tcom. 50/5 +2 maxtva rade kao urica od uvadanja usluge. O cijeni necu previse ali uslugom sam zadovoljan
LeskiRM je offline   Reply With Quote
Staro 23.07.2015., 17:20   #5479
snorky_vk
Premium
Moj komp
 
snorky_vk's Avatar
 
Datum registracije: Jul 2008
Lokacija: u mraku
Postovi: 854
Pozz. može li se u simensu sx763 vidjeti jesam li prebačen na vdsl il ću to "osjetiti" kad mi crkne net pa moram uštekat speedport ruter koji mi je stigao danas?

Zadnje izmijenjeno od: snorky_vk. 23.07.2015. u 20:44.
snorky_vk je offline   Reply With Quote
Staro 23.07.2015., 21:38   #5480
Thermaltake
1
 
Datum registracije: Dec 2005
Lokacija: Zagreb
Postovi: 3,604
Zna netko kolki je fair usage na optici kad imaš 200/100 ?
Thermaltake je offline   Reply With Quote
Staro 23.07.2015., 22:28   #5481
QS
Premium
Moj komp
 
QS's Avatar
 
Datum registracije: Mar 2009
Lokacija: Split
Postovi: 284
Citiraj:
Autor snorky_vk Pregled postova
Pozz. može li se u simensu sx763 vidjeti jesam li prebačen na vdsl il ću to "osjetiti" kad mi crkne net pa moram uštekat speedport ruter koji mi je stigao danas?
Ne može, SX koliko god je dobar toliko je glup...

I nece ti crknut internet jer ACS (nadzor modema) vidi SX-a pa ti "stoji i čeka" prebacivanje na vdsl profil (ako si već na vdsl pločici - ako nisi ne gine ti tehničar)...

Fino zamijeni modem ako ti je novi stigao i čekaj da ti skoči brzina. Automatici treba par minuta da to odradi (u idealnim uvjetima, svi planeti pravilno posloženi, DSLAM dobre volje, nije se najeo graha taj dan i tako to...)

Ako se novi modem ne bude htio zakačit (daj mu pola sata), resetiraj ga čačkalicom pa tek onda zovi genijalce u call centru (i tako će te tamo tjerat da to radiš).

NEMOJ resetirat modem svakih 10 minuta u nadi da ćeš magično dobit vdsl prije nego svemoguća automatika odradi svoje

Ako pak bude nekih problema zvat će te ekipa sa centrale i pitat jesi dobio modem i ako jesi da ga zamijeniš odma sada odma i onda "će ti kroz slijedećih 24 do 48 sati bla bla"...

A onda opet, možda i nećeš doći na red za zvanje u slijedećih par dana...

TL DR - spoji novi modem, sačekaj da ACS (nadzor) nanjuši novu zvijerku i prođe aktivacija bla bla, obično automatika u roku od par sati preskoči na vdsl
__________________
QS je offline   Reply With Quote
Staro 24.07.2015., 00:11   #5482
MasterX
do you speak it?
 
Datum registracije: Mar 2003
Lokacija: ::1
Postovi: 1,629
Citiraj:
Autor Thermaltake Pregled postova
Zna netko kolki je fair usage na optici kad imaš 200/100 ?
to i mene zanima
za sada se jos nisu bunili, premda sam tek nedavno poceo koristiti
__________________
Drinking Rum before 10am makes you a Pirate, not an Alcoholic.
MasterX je offline   Reply With Quote
Staro 24.07.2015., 02:18   #5483
dada-as
Bot Maker
Moj komp
 
dada-as's Avatar
 
Datum registracije: Dec 2005
Lokacija: medjimurje, mala subotica
Postovi: 2,741
Ako sam ja imao 300gb ukupnog prometa na ADSL 10mbit. Iskreno neznam od kud se to skupilo), previse Youtube videa valjda.

Znaci, onda bi 20x vise trebalo bez problema, Po nekoj logici znaci 6 Terabayta? Ili je to mozda previse?
__________________
dada-as je offline   Reply With Quote
Staro 24.07.2015., 02:28   #5484
LeskiRM
Premium
Moj komp
 
LeskiRM's Avatar
 
Datum registracije: Feb 2015
Lokacija: Sveta Nedelja
Postovi: 706
Nije prošlo ni 24h otkad sam nahvalio T-COM ovdje i evo sr*nja
Ovo je prva slika dok je sve radilo kao podmazano. 2 maxtv-a, voip i 50/10



A ovo je sadašnja slika, attainable rate pao za 8megabita, sad u downloadu ne mogu dobiti više od 43 megabita na speedtestu dok sam prije mjerio 52 megabita.

Kaj učiniti? Oni se vade na ono njihovo od-do što razumijem ali ja znam da mogu i imao sam 2 mjeseca sve normalno tako da me taj od do ne dira previse..


LeskiRM je offline   Reply With Quote
Staro 24.07.2015., 09:14   #5485
partwish
Creeper
Moj komp
 
Datum registracije: May 2013
Lokacija: USS Enterprise (NCC-1701-B)
Postovi: 2,216
@Leski probaj prvo banalne stvari, restart ili reset rutera. Može biti da je problem i u tvojim instalacijama, nekako nevjerujem da bi te bezveze prebacili na lošiju paricu.
__________________
If the only thing keeping a person decent is the expectation of divine reward then, brother, that person is a piece of sh*t
partwish je offline   Reply With Quote
Staro 24.07.2015., 11:41   #5486
LeskiRM
Premium
Moj komp
 
LeskiRM's Avatar
 
Datum registracije: Feb 2015
Lokacija: Sveta Nedelja
Postovi: 706
@Partwish, probao sam to, ništa
Izludit ce me, jedva sam uspio prijavit kvar zbog te njihove od-do politike, rekao sam diletantu na telefonu da to nije popravljanje kvara nego je to samo osposobljavanje, bitno da radi...
Čekam tehničara pa da mu pokazem speedtest account sa prijasnjim mjerenjima i stari network status.
LeskiRM je offline   Reply With Quote
Staro 24.07.2015., 11:44   #5487
Ag008
RESPECT MY AUTHORITAH
Moj komp
 
Ag008's Avatar
 
Datum registracije: Jul 2008
Lokacija: Rijeka
Postovi: 7,489
Stavi i ovdje speedtest rezultat.
Vrlo lako moguće da nisi prebačen na drugu paricu već je netko u kabelu do tebe uzeo isto vdsl i pali su ti parametri.
__________________
.
Ag008 je offline   Reply With Quote
Staro 24.07.2015., 12:04   #5488
LeskiRM
Premium
Moj komp
 
LeskiRM's Avatar
 
Datum registracije: Feb 2015
Lokacija: Sveta Nedelja
Postovi: 706
Evo, brzina mi je pala 8megabita. Da se razumijemo nije to loša brzina i u nekoj drugoj situaciji bih bio sretan da ju uopce imam ali kada znam da sam imao vise ne kuzim problem. Pogotovo kad mi sada mjesečni račun iznosi 450kn i nisam zakasnio 30 godina sa plaćanjem istog još od samo telefonskih dana
A ako je to kaj ag008 kaze to isto nije u redu, ukljucivanje novih korisnika na uštrb starih..

LeskiRM je offline   Reply With Quote
Staro 24.07.2015., 12:06   #5489
karlo10
šekler
Moj komp
 
karlo10's Avatar
 
Datum registracije: Jan 2008
Lokacija: Varaždin
Postovi: 115
Pozdrav, ima li kakvih informacija, da li se poduzima što za omogućavanje "normalnog" interneta ljudima od 3km od centrala s brzinama 4mbita?

Mislim osječam se ko da sam u nekoj šumi na vrhu Risnjaka (tamo mi barem nebi vruće bilo), a ne 5 km od Varaždina..

Vi se brinete za pad od 50 na 45, plačate 20kn više od mene koji imam 4mbita (krasna li lijepa naša)

Zadnje izmijenjeno od: karlo10. 24.07.2015. u 12:43.
karlo10 je offline   Reply With Quote
Staro 24.07.2015., 12:35   #5490
Ag008
RESPECT MY AUTHORITAH
Moj komp
 
Ag008's Avatar
 
Datum registracije: Jul 2008
Lokacija: Rijeka
Postovi: 7,489
Lol, što, niti jedan susjed ne smije imati vdsl? Gotovo sve parice imaju tendenciju pada, ljudi su tek počeli dobivati(uzimati) vdsl i tek sada je osjetan utjecaj parice na paricu.
Ovaj 17a profil je iznimno loš za susjedne parice, smanji parametre susjednih za 5-10% i meni ovo smrdi da je netko kraj tebe isto uzeo vdsl, možda čak 17a.
Osim ako je netko išao u tvoju kuću/zgradu i prebacio te na lošiju paricu što čisto sumnjam.
A zamisli da si ja, imao 29/3Mbps pa ti padne na 27/2.5Mbps
__________________
.
Ag008 je offline   Reply With Quote
Odgovori



Pravila postanja
Vi ne možete otvarati nove teme
Vi ne možete pisati odgovore
Vi ne možete uploadati priloge
Vi ne možete uređivati svoje poruke

BB code je Uključeno
Smajlići su Uključeno
[IMG] kod je Uključeno
HTML je Isključeno

Idi na